Bauplätze in herrlicher Randlage Bischofswerda
01877 Bischofswerda, Wohngrundstück zum Kauf




Kontaktdaten
-
FirmaiMMOSUCH GmbH
-
AdresseForststraße 15
01099 Dresden -
E-Mail Zentrale
-
Tel. Zentrale
-
Fax(03 51) 833 733 - 29
Objektdaten
-
Objekt IDDD 8000
-
ObjekttypenGrundstück, Wohngrundstück
-
Adresse01877 Bischofswerda
-
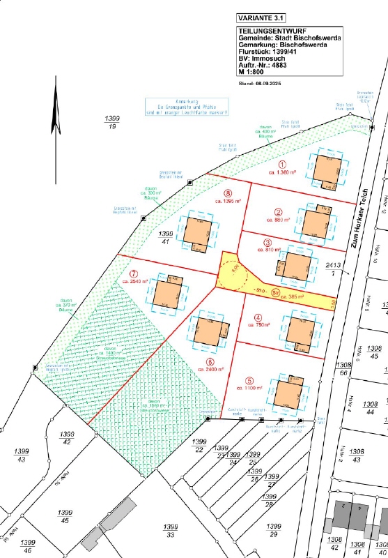
Grundstück ca.1.360 m²
-
Kaufpreis99.000 EUR
Objektbeschreibung
Beschreibung
Die Grundstücke liegen an einer ruhigen Seitenstraße in Bischofswerda im Stadtteil Belmsdorf. Hier können Sie freistehende EFH errichten.
Herrlich an Feldern & Wiesen gelegen, erreichen Sie in nur 2-3 Minuten das Stadtzentrum von Bischofswerda.
Eine Busverbindung führt direkt zum Grundstück.
Die Baugrundstücke bieten wir Ihnen ohne Bauträgerbindung an, können Ihnen jedoch gerne erfahrene Hausbaufirmen vermitteln.
Parz. 1, KP 99.000,- €, ca. 1.360 m²
Parz. 2, KP 99.000,- €, ca. 880 m²
Parz. 3, KP 99.000,- €, ca. 810 m²
Parz. 4, KP 99.000,- €, ca. 750 m²
Parz. 5, KP 99.000,- €, ca 1.100 m²
Parz. 6, KP 125.000,- €, ca. 2.400 m² + ca. 128,33 m² 1/3 Anteil Privatstraße
Parz. 7, KP 125.000,- €, ca. 2.540 m² + ca. 128,33 m² 1/3 Anteil Privatstraße
Parz. 8, KP 125.000,- €, ca. 1.395 m² + ca. 128,33 m² 1/3 Anteil Privatstraße
Sonstiges
Dieses Objekt bieten wir Ihnen provisionsfrei an.
Die von uns gemachten Angaben haben wir nach bestem Wissen und Gewissen, sowie den uns vom Eigentümer zur Verfügung stehenden Informationen zusammengestellt.
Eine Gewähr für diese Angaben können wir nicht übernehmen.
Wichtige Zahlen und Informationen sind am Objekt zu überprüfen.
Der Verkauf bleibt vorbehalten.
Lage
Über die B 6 sind Sie in etwa 30 Minuten in Dresden. Der Flughafen Dresden ist ca. 35 km entfernt.
Bischofswerda hat eine gut funktionierende Infrastruktur mit Kindereinrichtungen, Schulen, Ärzten, Einkaufsmöglichkeiten und Buslinien.
Die Sächsische Schweiz (ca. 30 km) und das Lausitzer Seenland (ca. 60 km) sind in relativ kurzer Zeit zu erreichen.
Die dargestellte Position der Immobilie ist nur eine ungefähre Angabe.